準颱「藍湖」最快週四生成 專家估路徑似「劍魚」
颱風劍魚在昨(25)日下午登陸越南,對台灣沒有直接影響,不過,又有颱風要生成了嗎?
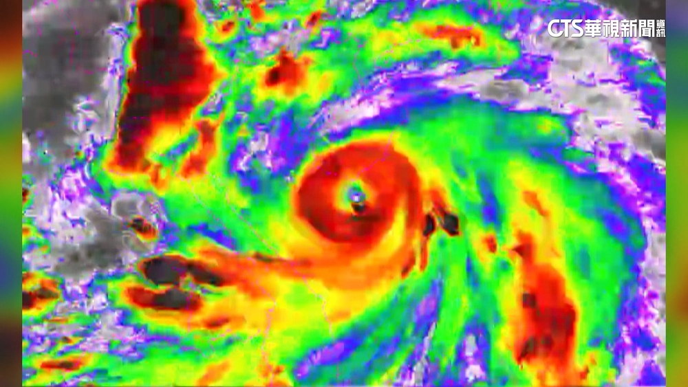
專家表示,從最新的歐洲模式模擬來看,熱帶擾動可能會在明(27)日進入南海,週四、週五就有機會發展成今年第14號颱風藍湖。而以目前預估走向來看,它的路徑類似劍魚,對台灣沒有太大影響,但可能會持續帶來水氣。另外,今(26)日仍有38度左右的極端高溫,提醒觀眾朋友務必多補水、做好防曬。
延伸閱讀
- 日本關東昨下班時間暴雨襲 天降冰雹致商店停電2025/09/04
- 中颱劍魚開眼! 挑戰強颱恐成「西太平洋風王」2025/08/25
- 赴日注意! 琵琶颱風靠近九州 估沿本州島一路向東2025/09/04
- 女王頭頸圍116cm恐斷 專家:地震颱風威脅大2025/09/04
- 南海成颱「台灣海峽北上」 丹娜絲路徑似06年珍珠.09年蓮花2025/07/05
- 國寶魚首搭專機放流棲地 物種保育啟新頁2025/09/04
- 台南風災倒塌樹木 開放民眾撿拾再利用2025/08/31
- 丹娜絲亂觀光! 海巡花蓮港戒備 台東熱氣球取消2025/07/06
- 屏東恆春居民關切龍鑾潭清淤進度 立委徐富癸勘查2025/09/03
- 國內海底電纜若斷裂 離島首當其衝! 網路通訊受影響2025/09/02
- 磁暴來襲! 醫:電磁敏感體質者 恐有4現象2025/09/02
- 嘉義梅山鄉因應颱風丹娜絲災損 「擬普發鄉民3000元」2025/09/04








