康芮加速又往南偏「估升級中颱」 最快明發海警
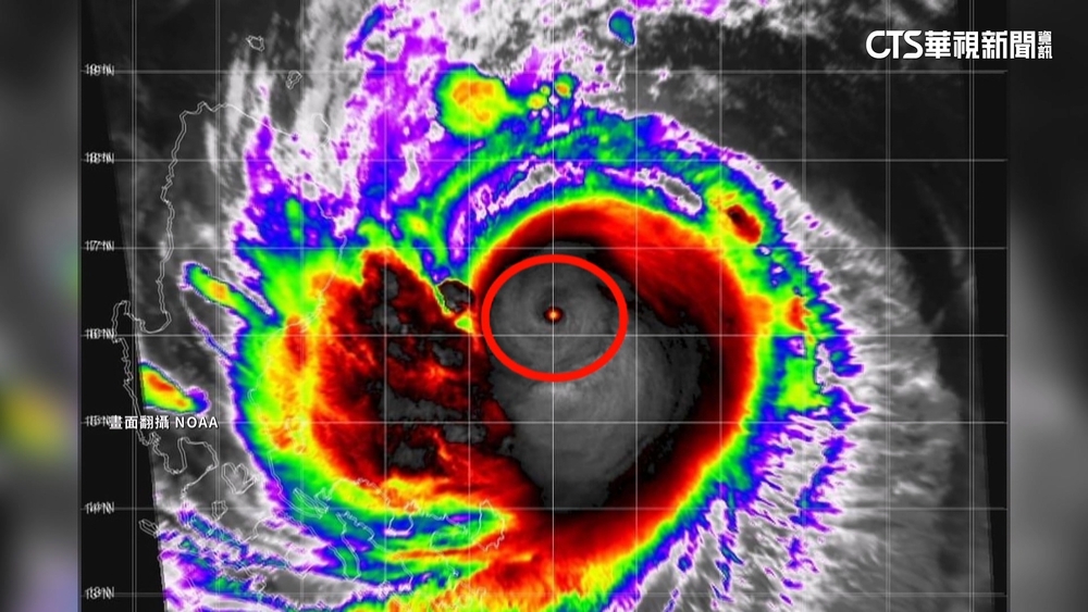
康芮颱風速度加快!各國都預測,它靠近台灣時,路徑往南修正,可能會從東台灣登陸。氣象署表示,康芮颱風將以中颱上限甚至不排除強颱靠近台灣,在週四、週五影響最劇,預計最快明天下午到晚上發布海警,週三上半天發布陸警,因暴風半徑相當大,到時候全台都可能受影響。
綠島漁民加緊腳步,用粗繩綁好船隻,台東富岡漁港候船室內空盪盪,不見半個遊客,28日中午過後,綠島台東往返船班,也將停航到11月1日,因為又有颱風要來了,中央氣象署科長林伯東說:「康瑞颱風的位置,目前它大概是距離在恆春的東南東方,大概1050公里左右的海面上,那我們預計,它未來會比較是朝向西北的方向,逐漸的移動靠近到台灣。」
根據各國最新路徑預測,歐洲模式預計康芮,將從花蓮登陸桃園出海,美國模式日本氣象廳,和氣象署,則預估會從台東登陸中部出海,但不變的是,各國路徑趨於一致,都顯示侵台機率高,尤其是週四週五,最為接近台灣,是影響最劇烈的時候,由於康芮颱風一路,都沒有受到地形破壞,結構相當完整,強度評估在中颱上限。
前氣象聯隊長林得恩:「太平洋高壓它非常的強勢,駛流場非常的明確,北方的槽線因為不夠深,沒有辦法把康芮颱風,繼續往北直接帶走,颱風向西的分量是比較大的。」
康芮北轉角度,將決定對台影響程度,而海陸警發布機率相當高,中央氣象署科長林伯東說:「它的路徑上面的看法,有稍稍再加快一點的趨勢,所以我們目前預估最新海警的時間,大概有可能會落在明(29)日的下午,到明(29)日的晚上這段時間,那陸警的時間有有可能會落在,禮拜三的上半天這段時間。」
如果到時康芮真的侵台,將是自1967年「吉達」颱風以來,睽違57年,在11月登陸台灣的颱風,民眾可得快快做好防颱準備。
延伸閱讀
- 凱米增強為「強烈颱風」! 預估今深夜登陸宜花2024/07/24
- 雙颱估生成! TD05熱帶低壓恐變中颱 最快下週二海警2024/07/20
- 北台灣今明整日濕涼!中颱「銀杏」轉西行 侵台機率低2024/11/06
- 受颱風農損影響 宜蘭三星蔥每公斤飆至900元2024/11/06
- 快訊》「凱米」颱風陸警發布! 4縣市列首波警戒範圍2024/07/23
- 「山陀兒」轉強颱!幾乎沒動明登陸南部 恐帶來強風豪雨2024/10/01
- 「康芮」升為強颱!花東屏列陸警範圍 今晚至週五清晨影響劇烈2024/10/30
- 快訊》「凱米」陸警範圍擴大! 雙北桃竹苗等12縣市警戒2024/07/23
- 「康芮」持續長胖! 氣象署:估傍晚前後發海警,明颱風接近2024/10/29
- 憂蜜蘋果.甜柿放爛!梨山農冒險閃天坑「推車運果」2024/11/05
- 颱風最快週六形成!「這2天」最接近台灣 不排除發布警報2024/07/19
- 「大眼睛強颱」康芮 恐成賀伯後最大登陸颱風2024/10/30








